Service Guide

Get Ants Extermination Service

Local contractors offer ant extermination services to eliminate infestations, protect properties, and handle residential or commercial pest control projects effectively.

Ants extermination services are essential for property owners dealing with persistent ant problems that can affect comfort, hygiene, and property value. If you're noticing increased ant activity around your home or business, exploring local contractor options can help identify effective solutions tailored to your specific needs. Whether you're preparing for a property renovation, managing ongoing pest issues, or simply seeking peace of mind, understanding the available services can support your planning process.

Comparing local service providers ensures you find experienced professionals capable of addressing ant infestations efficiently. Property owners in the area often choose local contractors for their familiarity with regional pest challenges and proven methods. Keep reading to discover how connecting with trusted experts can help you manage ant problems effectively and protect your property.

Get Ants Extermination Service Quotes

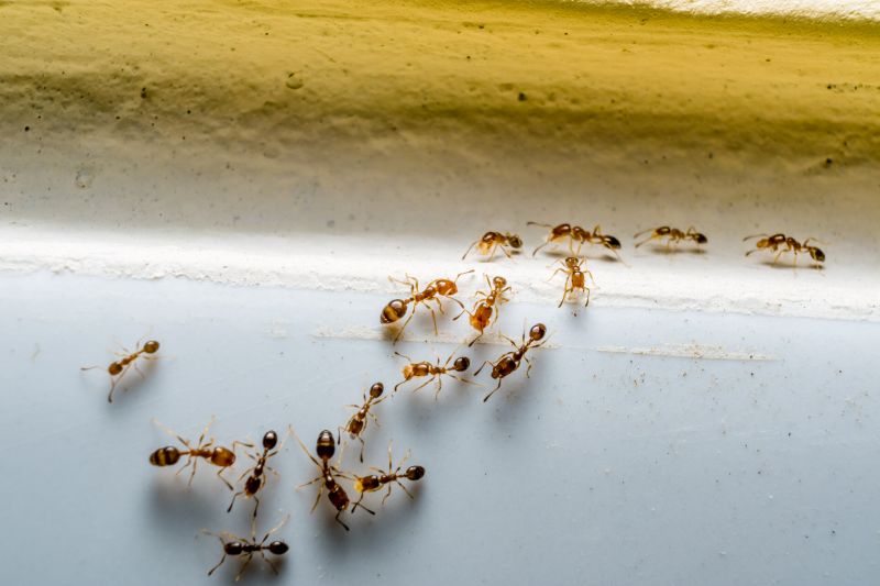
  • Ants Extermination - needed when ants have invaded a home or business and are difficult to eliminate on your own.
  • Ants Control - required when persistent ant colonies are disrupting daily activities or causing property damage.
  • Ants Removal - sought after when ant infestations threaten food safety or create unsanitary conditions.
  • Ants Pest Management - necessary for ongoing ant problems that require professional treatment plans.
  • Ants Eradication - requested when initial DIY efforts have failed to fully eliminate ant populations.
Ants Extermination Service
Ants Extermination Service
Ants Extermination Service

Ants extermination services involve identifying and eliminating ant infestations within residential and commercial properties. Service providers typically perform thorough inspections to locate ant colonies and entry points, followed by targeted treatments to remove the pests. These treatments may include baiting, dusting, or applying residual insecticides to ensure effective control and prevent future invasions. The goal is to create a pest-free environment by addressing the problem at its source and implementing long-lasting solutions.

Ant problems can cause various issues in homes and businesses, from nuisance bites and visible trails to potential damage to structures and stored goods. Ants are often attracted to food sources, moisture, and warmth, making kitchens, pantries, and utility areas common trouble spots. Left untreated, infestations can quickly grow, leading to increased frustration and difficulty in managing the pests. Professional extermination services help resolve these issues efficiently, reducing the risk of ongoing infestations and the complications they can bring.

Property types that frequently seek ant extermination services include single-family homes, apartment complexes, restaurants, and retail stores. Homes with accessible food and water sources or those with exterior landscaping that attracts ants are particularly vulnerable. Commercial properties such as restaurants and grocery stores often require regular pest management to comply with health standards and prevent disruptions. Service providers tailor their approaches to suit the specific needs of each property, whether it’s a small residence or a large commercial space.

Homeowners often turn to ant extermination services when they notice persistent trails, sudden increases in ant activity, or damage caused by certain ant species, such as carpenter ants. These pests can invade through small cracks or gaps, making early intervention important. By working with local contractors, property owners can choose effective treatment options to eliminate current colonies and establish barriers against future invasions. Expert assistance ensures a comprehensive approach that addresses the problem thoroughly and helps restore comfort and safety to the property.

The overview below groups typical Ants Extermination Service projects into broad ranges so you can see how smaller, mid-sized, and larger jobs often compare in your area.

In many markets, a large share of routine jobs stays in the lower and middle ranges, while only a smaller percentage of projects moves into the highest bands when the work is more complex or site conditions are harder than average.

Basic Ant Extermination - Most routine ant removal jobs cost between $250 and $600. Many local contractors handle these smaller projects efficiently within this range. Larger or more persistent infestations may require higher investments.

Targeted Treatments - For specific ant colonies or localized infestations, costs typically fall between $300 and $700. These projects are common and usually involve a single treatment session with predictable pricing.

Multiple-Visit Programs - Ongoing or severe ant problems often require multiple visits, with costs ranging from $500 to $1,200. Many homeowners find this approach effective for complete eradication over time.

Full Property Extermination - Larger, comprehensive projects that involve extensive treatment across an entire property can reach $1,500 or more. Such projects are less frequent but necessary for large or heavily infested sites.

Actual totals will depend on details like access to the work area, the scope of the project, and the materials selected, so use these as general starting points rather than exact figures.

Get a Quote

Pest Control for Food Storage Areas - Local contractors experienced in pest management can handle infestations in commercial and residential food storage spaces, utilizing similar inspection and treatment techniques used for ant control.

Rodent Extermination Services - Professionals skilled in rodent removal employ planning and tools comparable to those used in ant extermination, including baiting and sealing entry points.

Termite Treatment Projects - Termite control involves treatment planning and application methods that are similar to ant extermination, requiring inspection and targeted pesticide use.

Bed Bug Removal Services - Bed bug treatments involve detailed inspection and targeted application of treatments, akin to the planning process in ant control services.

Mosquito Control Programs - Mosquito management involves environmental assessment and treatment strategies comparable to those used in ant extermination to reduce pest populations.

Spider Pest Removal - Spider control projects require inspection and targeted pest removal techniques similar to those used in ant extermination services.

Ants Extermination Service

When comparing service providers for ant extermination, it’s important to consider their experience with similar projects. Homeowners should inquire about how long a contractor has been handling ant control and whether they have successfully managed cases similar to their own. An experienced local contractor will typically have a better understanding of common ant behaviors and effective treatment methods, which can contribute to a more efficient and thorough job. Gathering information about their background with ant extermination helps ensure that the chosen professional has the practical knowledge needed to address the specific challenges of the project.

Clear written expectations are essential when selecting a pest control service provider. Homeowners should seek detailed information about the scope of work, the methods used, and any follow-up procedures. Having these expectations documented can prevent misunderstandings and provide clarity on what the service will include. Reputable local contractors often provide transparent explanations of their approach, making it easier for homeowners to evaluate whether their services align with the needs of the property. Clear communication about what to expect helps foster confidence and ensures that everyone is on the same page from the outset.

Reputable references and good communication are key factors to consider during the selection process. Homeowners should ask for references from past clients who had similar ant issues to gauge the quality of the service provided. Additionally, effective communication-such as responsiveness to questions and willingness to explain treatment options-can indicate a professional and customer-focused approach. Reliable local service providers prioritize clear, ongoing dialogue, which can make the entire process smoother and more transparent. It’s important to remember that the site introduces homeowners to local options rather than performing the work directly, helping connect them with trusted professionals capable of handling ant extermination projects efficiently.

Get an Ants Extermination Service Quote

Property owners use Ants Extermination Service services for practical projects around their homes and businesses. This guide focuses on everyday jobs and straightforward project options.

Ants Extermination Service
Ants Extermination Service

Ants can quickly become a nuisance for property owners dealing with common household or yard issues. Whether ants are invading kitchens, contaminating food, or building nests in lawns and garden beds, many seek the help of local contractors to manage these persistent pests. These service providers can assess the situation, identify the ant species, and implement effective solutions to prevent further intrusion and damage.

Property owners often turn to local extermination specialists when ant problems disrupt daily routines or threaten the comfort of their living spaces. From treating indoor infestations to addressing outdoor colonies near foundations or landscaping, local contractors offer a range of services designed to eliminate ants and reduce the risk of future activity. Connecting with experienced service providers can help restore peace of mind and maintain a pest-free environment.

Get an Ants Extermination Service Quote

How do local contractors identify ant infestations? They typically conduct thorough inspections of the affected areas to locate ant nests and entry points, helping determine the extent of the infestation.

What methods do local service providers use to eliminate ants? They often employ a combination of targeted baiting, trapping, and residual treatments to effectively control ant populations.

Are there specific types of ants that service providers commonly treat for? Yes, local contractors are experienced with handling various species such as carpenter ants, pavement ants, and sugar ants.

What steps can help prevent future ant problems? Local pros may recommend sealing entry points, removing food sources, and maintaining clean surroundings to reduce the likelihood of re-infestation.

How do local contractors ensure the safety of residents during treatment? They follow standard safety procedures and use approved treatment methods to minimize risks to people and pets in the treated areas.

Identify ant infestations early - property owners can use this service to detect and address ant problems before they spread throughout the home or yard.

Protect food storage areas - local contractors can help eliminate ants around kitchens, pantries, and dining spaces to maintain a clean environment.

Prevent structural damage - homeowners can seek treatment to stop ants from nesting in walls, foundations, or other structural areas.

Maintain outdoor spaces - property owners can ensure gardens, patios, and lawns are kept free of ant colonies that may invade living areas.

Ants Extermination Service

If you are thinking about Ants Extermination Service for a property, this guide is meant to help you understand the work, the typical project types, and how different options might fit your plans.

When you are ready, you can use the quote form on this page to share a few details about your project. From there, local pros can review the basics and respond with options that match what you have in mind.

Get a Quote

Ants Extermination Quotes

Our Trusted Partners
Greenix Pest Control
Fenix Pest Control
Superior Pest Control